ページの先頭です。 メニューを飛ばして本文へ
現在地 トップページ > 組織でさがす > 環境部 > 環境政策課 > 高島サンゴを守ろう

高島サンゴを守ろう


本文

ページID:0005076 更新日:2024年11月11日更新 印刷ページ表示

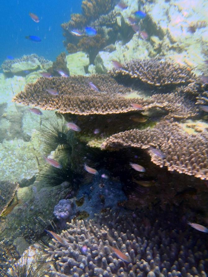
高島サンゴ

長崎市高島町周辺海域には30種類以上のサンゴが生息しています。
サンゴは日本では限られた海域でしか観察できない、大変貴重なものです。
また、サンゴ自体の希少性のみならず、多くの海の生きものの住みかとしても大切な資源です。
これからもごみを海に捨てないなど身近なことから心がけ、豊かな自然を守りましょう。
サンゴ1サンゴ2
サンゴ3サンゴ4